
Though the effects of Hurricane Harvey’s recent onslaught of Southeast Texas remain well in focus, another major hurricane is barreling down on the U.S., prompting Florida to suspend hours of service regulations for truckers hauling emergency services or supplies; transporting emergency equipment, supplies or personnel; or transporting FEMA mobile homes into or out of the state.
Florida has also suspended registration requirements for such vehicles and waived size and weight regulations for any vehicle “transporting emergency equipment, services, supplies, and agricultural commodities and citrus.”
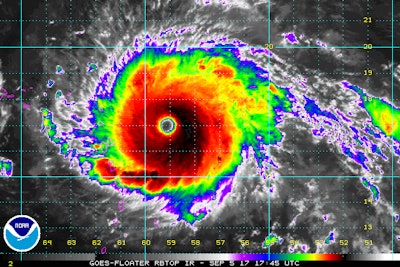
Most prediction models for the storm’s landfall forecast the storm to hit south Florida this weekend. The Category 5 hurricane has already tied for the second strongest winds ever recorded in the Atlantic Ocean. The Emergency Declaration suspending the regulations does not specify an expiration date.

The Federal Motor Carrier Safety Administration on Friday announced a suspension of hours of service regulations for fuel haulers in 26 states, in anticipation of a regional fuel shortage that could follow Hurricane Harvey’s Texas last fall last week.
The pipeline outage partially responsible for FMCSA’s waiver for fuel haulers, the Colonial Pipeline that runs from Houston to New Jersey and is one of the U.S. most important fuel distribution arteries, has partially reopened, Colonial said Monday.
Line 2 of the pipeline, which carries diesel, gasoline and jet fuel, has been reopened between Houston and Lake Charles, Louisiana. Line 1 remains closed between the two points, but Colonial says it will likely have the pipeline back online by today.
The Port of Houston, an active and busy freight port, announced on Friday it had reopened its terminals. According to a report from AJOT.com, other ports in the region had also reopened, such as those in Corpus Christi, Galveston and Freeport.